Opis nieruchomości
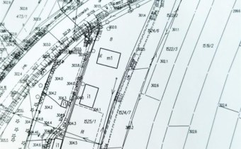
Działki Budowlane numer 1525/1 oraz 1525/2 . RAZEM 26.27 ara.
Doskonała lokalizacja: 700m od Rynku w Miechowie, działka położona jest na ul. Warszawskiej 26a, na przeciwko znajduje się ul. Matejki. Działka idealnie nadaje się pod zabudowę Mieszkaniową Jednorodzinną lub Bliźniaczą( czterolokalowe ) .Spokojna cicha okolica z pięknym widokiem, znajduje się w najwyższym punkcie ulicy Warszawskiej, na zakręcie wjazd na działkę odbywa się bezpośrednio z drogi głównej asfaltowej, wszystkie media w drodze Woda, Kanalizacja, Prąd, Światłowód, Gaz.
Działka posiada po całej jej długości drogę dojazdową co umożliwia wybudowanie kilku Bliźniaków bez konieczności robienia drogi dodatkowej według MPZP oznaczenie MN1 oznacza Zabudowę jednorodzinne Mieszkaniowe, można wybudować budynki trzykondygnacyjne o wysokości do 9 metrów z dowolnym dachem, procent zabudowy na działce wynosi 45%.
Zapraszam do Współpracy Inwestorów Deweloperów oraz Osoby, które chcą zainwestować w Miechowie.
Cena do rozsądnej negocjacji .
Zainteresowała Cię ta oferta?
Zadzwoń i umów się na spotkanie !!!
sobota ? niedziela ? - wtedy też możliwa prezentacja oferty.
Małopolskie Nieruchomości.
Jadwiga tel. 668-202-865 ,
Pod tę inwestycję w naszym biurze istnieje możliwość skorzystania z bezpłatnej pomocy doradcy kredytowego, który znajdzie dla Państwa czas i najkorzystniejszą ofertę kredytową.
Nota prawna
Opis oferty zawarty na stronie internetowej sporządzany jest na podstawie oględzin nieruchomości oraz informacji uzyskanych od właściciela, może podlegać aktualizacji i nie stanowi oferty określonej w art. 66 i następnych K.C.
Szczegóły




