Opis nieruchomości
DZIAŁKA BUDOWLANA 1604m2, Prandocin Iły gm.Słomniki.Okazja dla osób poszukujących terenu pod budowę domu w okolicy Krakowa ale w spokojnej i cichej okolicy .
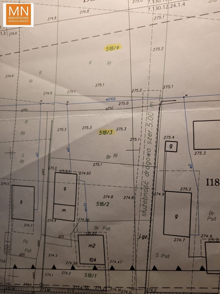
Do sprzedania działka budowlana 16a pod budowę domu ( nr dz. 518/4 )
Działka płaska , położona w 4 linii zabudowy z dostępem do drogi asfaltowej. Wjazd drogą utwardzoną obok nowo budowanych domów, dojazd do działek nowy właściciel będzie miał zapewniony w akcie notarialnym jako służebność w drodze.
Uzbrojenie działki :
woda i gaz w działce.
prąd- skrzynka na działce.
Dogodny dojazd do Krakowa, S7. W okolicy ładne, zielone i spokojne tereny .
PROSIMY O KONTAKT TELEFONICZNY DZIĘKI KTÓREMU UZYSKACIE PAŃSTWO WSZYSTKIE NIEZBĘDNE INFORMACJE PRZED PREZENTACJĄ NIERUCHOMOŚCI.
media ; skrzynka prąd na działce, gaz i woda w działce
Działka 10a ( 518/3) za 169tys .
Możliwość dokupienia osobno działki obok o pow. 16,05a ( 40mx 40m) w cenie 199 tys.
Cena przy zakupie obu działek ( 26,05a ) 350 tys.
Cena dla zdecydowanego klienta do rozsądnej negocjacji .
Zainteresowała Cię ta oferta? Zadzwoń i umów się na spotkanie !
sobota ? niedziela ? - wtedy też możliwa prezentacja domu.
Kontakt: Małopolskie Nieruchomości
Jadwiga Malara tel. 668-202-865
W naszym biurze istnieje możliwość skorzystania z bezpłatnej pomocy doradcy kredytowego, który znajdzie dla Państwa najkorzystniejszą ofertę kredytową
Nota prawna
Opis oferty zawarty na stronie internetowej sporządzany jest na podstawie oględzin nieruchomości oraz informacji uzyskanych od właściciela, może podlegać aktualizacji i nie stanowi oferty określonej w art. 66 i następnych K.C.
Szczegóły




